1415 8th Street, Owen Sound, ON N4K 5N9
- $1,950,000
1415 8th Street, Owen Sound, ON N4K 5N9
- $1,950,000
Overview
- Commercial, Land
- 1.95
Description
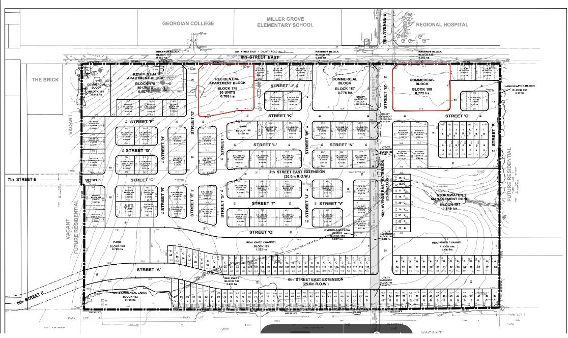
Exceptional Residential Development(Apartment block) Opportunity in Owen Sound, amazing location for Student housing project. Presenting a unique chance to acquire a vacant Residential lot in the vibrant downtown core of Owen Sound. Owen Sound is a rapidly growing urban center in Grey County, just a few hours from Toronto and the U.S.-Canada border, offering direct access to major surrounding markets. The site is located directly across from Regional Hospital, Georgian College, Miller Grove elementary school, community center. This is a limited opportunity to secure a foothold in a thriving area, with convenient access to a diverse range of shopping amenities, the picturesque lake. Opportunity to for development in this prime location. Parcel to be severed from the larger development. The Purchaser will be responsible for their development cost such as development charges, servicing cost etc. Site is zoned and site plan approved, soils and environmental studies are available. All prospective buyers are encouraged to conduct thorough due diligence regarding property.
Address
Open on Google Maps-
Address: 1415 8th Street, Owen Sound, ON N4K 5N9
-
City: Owen Sound
-
State/county: ON
-
Zip/Postal Code: N4K 5N9
-
Country: CA
Details
Updated on April 17, 2026 at 10:59 pm-
Property ID HZX12371334
-
Price $1,950,000
-
Property Size 1.95
-
Property Type Commercial, Land
-
Property Status Sale
Similar Listings
6733 Mississauga Road 54, Mississauga, ON L5N 6J5
6733 Mississauga Road 54, Mississauga, ON L5N 6J5, Mississauga, ON, L5N 6J5 Details6733 Mississauga Road 13, Mississauga, ON L5N 6J5
6733 Mississauga Road 13, Mississauga, ON L5N 6J5, Mississauga, ON, L5N 6J5 Details185 The West Mall N/A 870, Toronto W08, ON M9C 5L5
185 The West Mall N/A 870, Toronto W08, ON M9C 5L5, Toronto W08, ON, M9C 5L5 Details2074 Steeles Avenue E 19, Brampton, ON L6T 5A5
2074 Steeles Avenue E 19, Brampton, ON L6T 5A5, Brampton, ON, L6T 5A5, CA Details- Hamad Aziz